Piste cyclable sur la VEBE, stop ou encore ?
EDEN s’exprime aujourd’hui en faveur de la pérennisation de la piste bidirectionnelle cyclable sur le viaduc Louis Marin. Après une enquête auprès des usagers et sur le terrain, nous proposons une analyse et une feuille de route pour améliorer le projet actuel, en cohérence avec le plan de mobilité « P2M » de la Métropole. Nous demandons à ce que le plan de circulation automobile général soit adapté pour inciter les automobilistes qui rejoignent l’autoroute A31 à utiliser prioritairement la voie de contournement et désengorger les quartiers vivants de Malzéville, du faubourg des trois maisons et de la rue de Metz. Les quartiers environnants pourraient être réaménagés à moindre frais pour apaiser la circulation et accueillir des modes de mobilités plus vertueux.
Après presque un an d’expérimentation de la Métropole, EDEN tire le bilan de cet aménagement cyclable en urbanisme tactique sur le grand viaduc Louis Marin le long de la « VEBE » (Voie Express Banlieue Est) !
Tout d’abord, nous tenons à dire que nous avons été très demandeurs pour l’installation de cet aménagement cyclable. En effet, le samedi 18 décembre 2021, lors de l’inauguration de la voie de contournement de Malzéville équipée de sa fameuse voie verte, nous avons appelé à la manifestation à vélo pour faire la jonction avec le centre-ville de Nancy !
Manifestation sur la VEBE ce samedi pour demander des aménagements cyclables
Ne pas aménager le viaduc aurait conduit à interrompre brutalement un aménagement cyclable neuf et relativement qualitatif. Pourtant, nous le disons et le répétons depuis plusieurs années, la pratique du vélo ne sera attractive qu’avec l’aménagement méthodique d’un réseau cyclable continu et sécurisé. C’est heureusement une des ambitions du P2M (Plan Métropolitain des Mobilités) porté par la Métropole depuis la fin de l’année 2021.
Les élus, portant ce projet d’aménagement dans son schéma directeur cyclable, ont porté une oreille attentive à notre revendication et ont donc décidé d’aménager en « urbanisme tactique » le viaduc dès le début d’année 2022 en supprimant par la même occasion deux voies de circulation automobiles sur les quatre.
Ce large viaduc, un héritage d’un autre temps, était vraiment dangereux, même pour les automobilistes. La vitesse excessive y était tentante sur cette 2×2 voies sous utilisée. Nous n’oublions pas la chute de cet automobiliste dans sa voiture durant la nuit du 20 au 21 janvier 2022, qui s’en sort miraculeusement sans trop de gravité : https://actu.fr/grand-est/nancy_54395/nancy-sa-voiture-chute-du-viaduc-de-la-vebe-et-s-ecrase-au-sol-le-conducteur-miracule_48135739.html
La réduction de la vitesse à 50 km/h et la circulation à 2×1 voie pour les automobilistes a indéniablement permis un apaisement de la circulation et une réduction des dangers pour tous les usagers.
Aujourd’hui, grâce à cet aménagement, il existe une continuité cyclable entre Malzéville – Saint-Max et le centre historique de Nancy et le canal. Regardons le plan dans le détail :
Du point de vue de ses caractéristiques, elle respecte presque partout les standards d’un aménagement cyclable correct, à savoir minimum 3 mètres de large et un espace distinct pour les piétons. En partant du bas, la pente y est d’abord assez forte sur une trentaine de mètres puis relativement douce avec un pourcentage acceptable jusqu’à la sortie du viaduc.
Nous signalons la tendance à la formation de flaques sur la partie basse du viaduc :
La séparation physique avec les automobiles est assurée grâce à des blocs en plastique lestés. Ils sont efficaces et jouent leur rôle, c’est à dire qu’ils marquent une séparation rassurante avec les automobilistes qui ne sont pas tentés de rouler trop près et ne peuvent pas accéder à l’aménagement. Toutefois, ces derniers ne sont pas assez lourds pour résister aux forts vents et ont tendance à s’éparpiller sur la chaussée les jours de tempête. Nous demandons à ce que la Métropole prenne toutes les dispositions nécessaires pour assurer la sécurité des cyclistes car les blocs ne marquent plus la séparation avec les automobilistes et ces derniers ne font pas suffisamment attention aux cyclistes. Heureusement, ces événements sont relativement rares.
Cet aménagement profite à tous les pratiquants de la petite reine. Bien sûr, il ne faut pas s’attendre à un trafic équivalent aux motorisés car ils ne sont pas comparables. Toutefois, cet aménagement a très rapidement trouvé son public. Il convient à la fois aux pratiquants loisirs ou sportifs comme aux « vélotafeurs » et aux cyclistes du quotidien. Plusieurs membres de notre association nous en ont fait des retours positifs.
Les cyclistes étaient si peu nombreux auparavant. Ils utilisaient d’autres itinéraires, beaucoup moins adaptés et sécurisants, partageant la route avec les automobilistes et les bus, ou bien roulant sur les trottoirs. Cette piste permet d’accéder depuis Nancy aux hauteurs de Malzéville et de Saint-Max avec un moindre effort et de façon très efficace et directe.
Voici un témoignage de Matt, un sympathisant de notre association :
En tant qu’habitant de Saint Max à la limite de Malzéville, l’aménagement de la piste cyclable de la VEBE a transformé mon quotidien puisque je relie la rue du Pont Mouja où je travaille en 7min depuis mon domicile.
Sa réalisation couplée à l’agrandissement du secteur piétonnier de Nancy m’ont définitivement fait préféré le vélo pour relier le centre-ville.
Je pratiquais auparavant ponctuellement à vélo le trottoir étroit côté opposé avec toutes les complications liées pour croiser/doubler les piétons.
Le gros point négatif à ce stade est l’absence de continuité cyclable vers Saint Max et la faiblesse des aménagements aux carrefours à chaque extrémité qui font que le passage des cyclistes est mal identifié sur la chaussée puisque mélangés aux piétons.
Je croise rarement des cyclistes bien que l’empruntant 4 fois par jour malheureusement.
Bien sûr, EDEN avait formulé plusieurs observations pour améliorer l’aménagement, essentiellement pour y accéder en haut et en bas. Quelques travaux de génie civil permettraient d’aménager un vrai carrefour sécurisé « à la hollandaise » sur la partie haute. Sur la partie basse, avec le carrefour, de la rue Charles de Foucault, il nous semble qu’il faut délimiter les espaces cyclables et piétons et éviter les bordures piégeuses. Il conviendrait de mieux jalonner les itinéraires depuis la Pépinière car cet aménagement est encore trop mal connu et pas facile à repérer pour y accéder. Enfin, il faut poursuivre les pistes cyclables temporaires sur le boulevard du 26 RI, tel que prévu au P2M. Nous proposons également un itinéraire piéton depuis la piste cyclable et vers la bretelle qui descend vers Saint-Max.
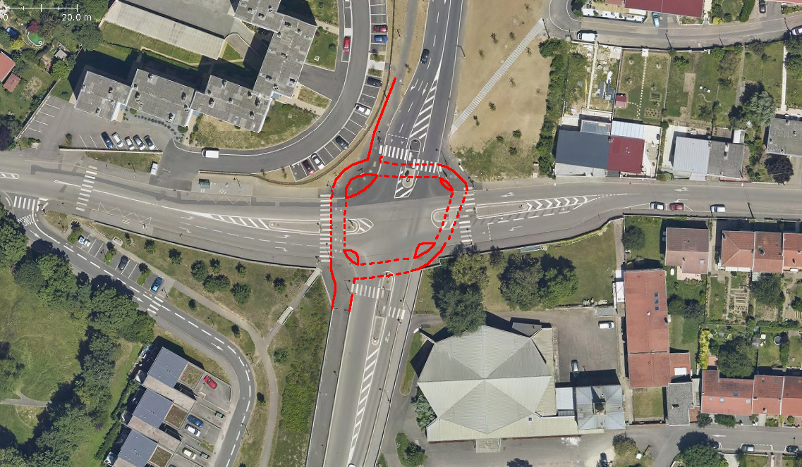
Vue de dessus, notre proposition de réaménagement du carrefour à Malzéville, à l’entrée de la VEBE
Notre proposition de refonte des plans de circulation cyclable et automobile du quartier :
Du point de vue du plan général de circulation automobile, la voie de contournement reste sous-utilisée pour les usagers qui se dirigent vers l’A31 direction Metz. En effet, en plus des changements d’habitudes difficiles à obtenir, les GPS recommandent toujours de passer par le faubourg des Trois Maison, la rue de Metz, ou bien par le centre-ville de Malzéville, ou bien par la rue Lafayette :
Avec des mesures mineures telles que la réduction de la vitesse ou bien les allongements de phasage de feu, ces quartiers pourraient facilement devenir des lieux de vie plus apaisés, avec moins de voitures et plus de places laissées aux transports en commun et aux modes actifs.
En vue des prochains travaux de réaménagement, nous proposons que la Métropole utilise la rampe douce de la rue Sigisberg Adam pour prolonger la piste cyclable bidirectionnelle vers le centre-ville et y créer une continuité cyclable encore plus franche et plus accessible. Cela nécessiterait de supprimer la file de stationnement et la voie de circulation dans le sens descendant. L’impact sur la circulation automobile serait très modéré puisque l’anneau de circulation automobile passe par la rue Charles de Foucault.
En conclusion, cet aménagement mériterait vraiment une installation durable étant donné ses très nombreux bienfaits sur la mobilité de tous les usagers et sur l’environnement. Toutefois, il ne saurait être une solution acceptable pour tous les usagers qui souhaitent se rendre à Malzéville et à Saint-Max, notamment sur leurs quartiers bas. En effet, les cyclistes restent pragmatiques, ils évitent les dénivelés inutiles. Il faudra donc prévoir d’autres aménagements cyclables qualitatifs séparés de la circulation automobile pour franchir la Meurthe.




